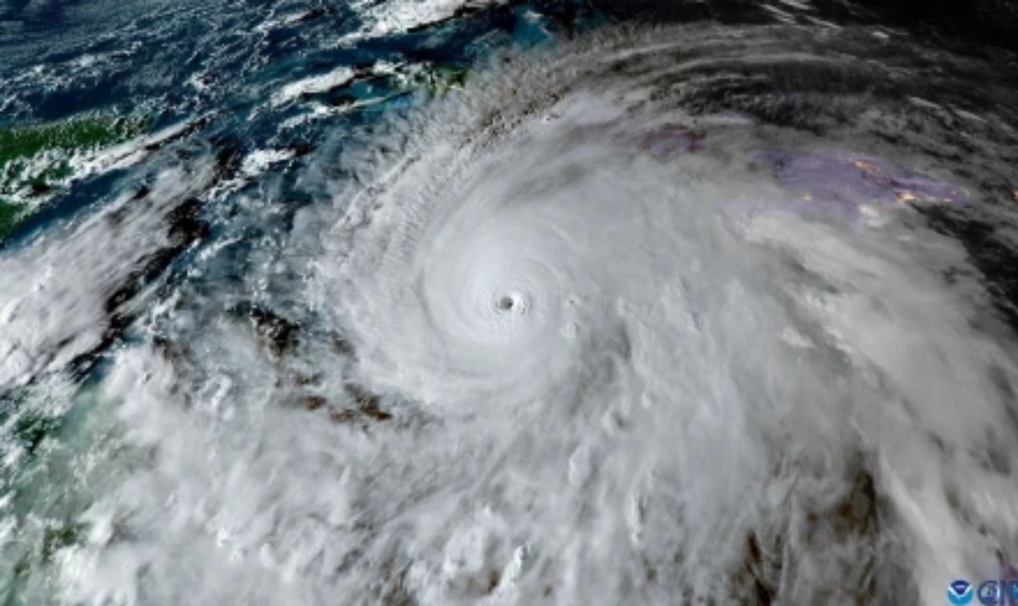
Ο κυκλώνας, ο οποίος έχει χαρακτηριστεί ως ο «τυφώνας του αιώνα», έχει υποβαθμιστεί στην κατηγορία 4, ωστόσο συνεχίζει να προκαλεί εκτεταμένες ζημιές. Μάλιστα, πάνω από 500.000 κάτοικοι στην Τζαμάικα έχουν μείνει χωρίς ηλεκτρικό ρεύμα.
Εκτεταμένες καταστροφές στην Τζαμάικα
Ο πρωθυπουργός της χώρας, Άντριου Χόλνες, δήλωσε στο CNN ότι υπάρχουν σημαντικές ζημιές.
- σε νοσοκομεία
- σε κατοικίες και επιχειρήσεις
- στο οδικό δίκτυο










